近日,公司大数据系195221班本科生孙恩哲同学在信息融合领域顶级期刊《Information Fusion》(影响因子15.5)发表了题为"A decade of deep learning for remote sensing spatiotemporal fusion: Advances, challenges, and opportunities"的综述论文。该研究与中国科公司空天信息创新研究院、中国科公司大学等单位合作完成,对遥感时空融合深度学习方法的十年发展进行了全面系统的综述分析。中国科公司空天信息创新研究院刘鹏研究员、公司大数据系阎继宁副教授为论文共同通讯作者。
遥感时空融合技术旨在解决遥感图像在时间和空间分辨率之间的根本冲突问题,通过融合高时间-低空间分辨率数据和高空间-低时间分辨率数据,生成同时具备高时间和高空间分辨率特征的合成影像。然而,传统方法在处理复杂非线性关系、大规模数据处理效率以及跨数据集泛化能力等方面存在显著局限性。

针对上述问题,本研究建立了深度学习在遥感时空融合领域的系统性分类框架,涵盖卷积神经网络(CNNs)、Transformer、生成对抗网络(GANs)、扩散模型和序列模型等五大主要架构。研究发现:1)CNN方法在空间特征提取方面表现卓越,能够有效捕获多层次空间信息;2)Transformer架构在建模长程时间依赖关系方面具有显著优势,特别适合处理复杂的时序变化模式;3)GAN和扩散模型在细节重建和光谱保真度方面表现突出,显著优于传统方法的结构相似性指标。
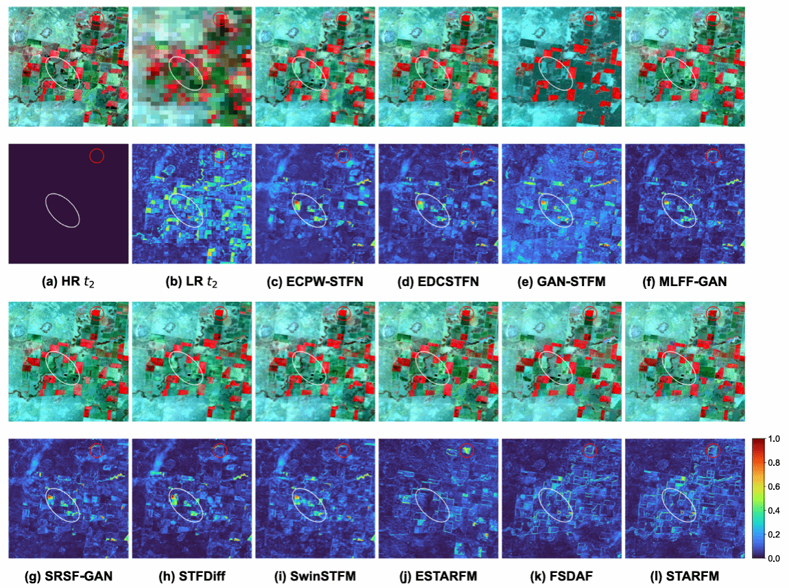
图A 不同时空融合方法在CIA数据集上的视觉对比结果。第一行和第三行显示真实值和预测的假彩色合成图像,第二行和第四行显示对应的差异图。
通过在七个基准数据集上对十种代表性方法进行综合实验比较,研究验证了上述发现并量化了不同方法间的性能权衡。如图A所示的CIA数据集视觉对比结果表明,深度学习方法在保持空间细节和减少差异方面普遍优于传统方法,特别是在建筑边缘和农业纹理的重建方面表现突出。研究识别出五个关键挑战:时空冲突、跨数据集泛化能力有限、大规模处理的计算效率、多源异构融合困难以及基准数据集多样性不足。
该研究不仅在生态监测、城市规划、灾害评估和气候变化研究等多个重要应用领域具有广泛的应用前景,还为遥感时空融合技术的未来发展提供了重要的理论指导和技术路线图。研究建立的开源代码资源库将为相关研究人员提供重要的技术参考。
Information Fusion是由Elsevier出版社出版的信息融合领域顶级期刊,中科院分区为SCI一区Top期刊,在计算机科学和人工智能领域具有极高的学术声誉和影响力。
该研究得到国家自然科学基金项目(42471505、41971397)和中科院相关项目(Y1H103101A、Y5J0100)的联合资助。
论文信息:
Title: A decade of deep learning for remote sensing spatiotemporal fusion: Advances, challenges, and opportunities
Authors: Enzhe Sun, Yongchuan Cui, Peng Liu*, Jining Yan*
Source: Information Fusion
DOI: https://doi.org/10.1016/j.inffus.2025.103675
论文链接: https://www.sciencedirect.com/science/article/pii/S156625352500747X
通讯员:阎继宁
审核:胡成玉
校对:牟扬